/
【外観】
- 物件名
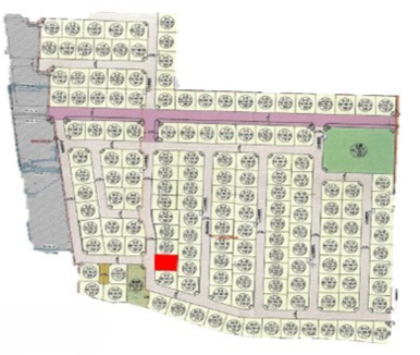
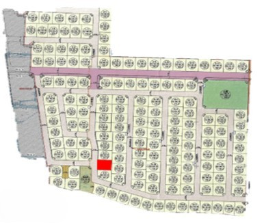
- はなだてタウンやはば 区画No.8-8
- 価格
- 947万円
- 土地面積
- 167.51㎡
- 築年月
- -(-)
- 総区画数
- -
- 設備条件
-
- 設備(その他)
-
-
-
- 駐車場/月額
- -/-
- 土地権利
- 所有権
- 国土法届出
- 不要
- 用途地域
- 第一種住居
- 区画数
- - / -
- 管理形態
- -
- 管理員の勤務形態
- -
- 管理会社
- -
- 取引態様
- 売主
- 引渡し
- 即時
- 開発許可番号
- -
-
スーパー
イオンスタイル矢巾
1000m(13分)
-
総合病院
岩手医科大学附属病院
1600m(20分)
-
小学校
矢巾町立徳田小学校
2100m(27分)
はなだてタウンやはば 区画No.8-8の基本情報
はなだてタウンやはば 区画No.8-8の詳細情報
はなだてタウンやはば 区画No.8-8で募集中の物件
周辺施設
近隣の物件
よく見られている物件
はなだてタウンやはば 区画No.8-8
